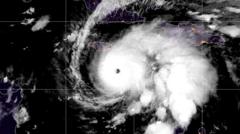
Melissa, which has already been blamed for the deaths of four people, could become the strongest hurricane ever to hit Jamaica.
Jamaica in path of ‘life-threatening’ category five Hurricane Melissa
Magazine
Melissa, which has already been blamed for the deaths of four people, could become the strongest hurricane ever to hit Jamaica.